Lot outline is approximate based on county GIS data, but may not be accurate in the event that the Parcel ID or address are not correct and/or final.
Images


Map
Directions
Take State Road 205 to McDuffee Road. Go South to the property.
Description
If you have been looking for LAND in the COUNTRY then THIS MIGHT BE IT! Northwest Allen County School District. There are additional lots available. Just outside of a SMALL TOWN with its conveniences, yet not far from the hustle bustle of Fort Wayne. Walking Property is by Appointment Only. *DO NOT PARK ON ANY DRIVEWAYS – THEY ARE NOT OWNED BY SELLER AND PRIVATELY OWNED BY ADJACENT PROPERTY OWNERS. Soil tests completed.
Details
Property Details
-
MLS #:202601083
-
Price$320,000
-
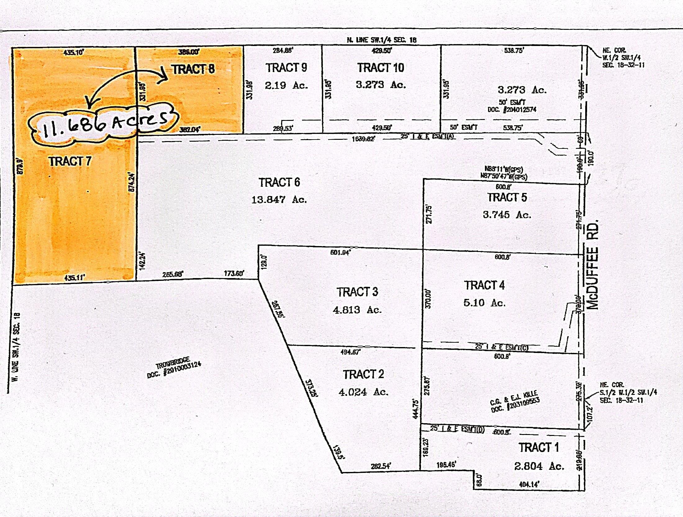
Approx. Lot Size Acres11.686
-
Approx. Lot Size SqFt509,042
-
ClassLots And Land
-
DOM41
-
Lot Dimensionsirregular
-
Parcel ID#02-01-18-300-001.003-044
-
Property Sub-TypeAgricultural Land
-
StateIN
-
SubdivisionNone
-
Zip46723
Other Features
-
Water TypeNone
-
Waterfront Y/NNo
Last updated: April 19 2026, 11:04 PM
Listing courtesy of: Nikki King, King Realty, LLC
IDX information provided by the Indiana Regional MLS. IDX information is provided exclusively for consumers’ personal, non-commercial use and may not be used for any purpose other than to identify prospective properties consumers may be interested in purchasing. Data is deemed reliable but is not guaranteed accurate by the MLS. Listings displayed on this website may be subject to prior sale or removal from sale; availability of any listing should always be independently verified.
Calculator
Number of Payments
Monthly Payments
$