Lot outline is approximate based on county GIS data, but may not be accurate in the event that the Parcel ID or address are not correct and/or final.
Images

Map
Directions
On Hand Road between Carroll and Hathaway Roads
Description
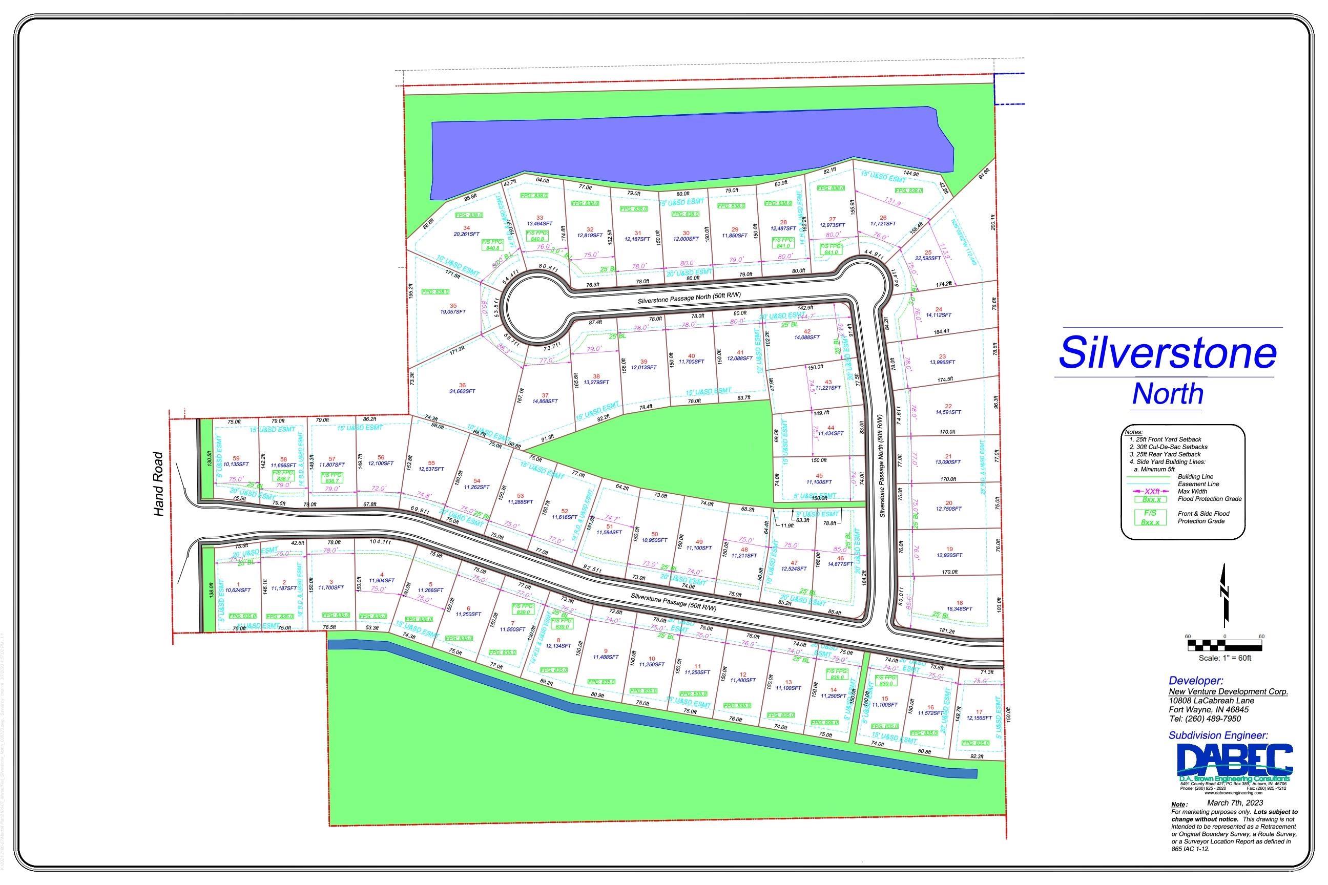
Silverstone Estates is located west of Lima Road on Hand Road close to Carroll High School and with easy access to Lima Road.
Details
Property Details
-
MLS #:202405383
-
Price$74,900
-
Approx. Lot Size Acres0.23
-
Approx. Lot Size SqFt10,135
-
ClassLots And Land
-
DOM346
-
Lot Dimensions75 x 130
-
Parcel ID#
-
Property Sub-TypeResidential Land
-
StateIN
-
SubdivisionSilverstone Estates
-
Zip46818
Other Features
-
Waterfront Y/NNo
Last updated: January 18 2026, 2:04 AM
IDX information provided by the Indiana Regional MLS. IDX information is provided exclusively for consumers’ personal, non-commercial use and may not be used for any purpose other than to identify prospective properties consumers may be interested in purchasing. Data is deemed reliable but is not guaranteed accurate by the MLS. Listings displayed on this website may be subject to prior sale or removal from sale; availability of any listing should always be independently verified.
Calculator
Number of Payments
Monthly Payments
$